Metro CDMX hoy 6 de octubre, ¿qué líneas presentan servicio lento?

Nacional Línea 3 del Metro CDMX. Foto de @AleSoto_Teatro Metro CDMX hoy 6 de octubre, ¿qué líneas presentan servicio lento? Usuarios reportaron servicio lento en varias líneas del Metro CDMX y hasta presencia de humo en una estación octubre 6, 2025 El Metro CDMX opera de manera normal, pero usuarios reportan servicio lento en varias […]
CDMX inicia la semana con 10 manifestaciones

Nacional Manifestación en la CDMX a favor de Palestina. Foto de EFE/ Isaac Esquivel CDMX inicia la semana con 10 manifestaciones Se esperan 10 manifestaciones y concentraciones en la CDMX hoy lunes 6 de octubre octubre 6, 2025 Este lunes 6 de octubre se prevén 10 concentraciones en la CDMX que podrían afectar la circulación […]
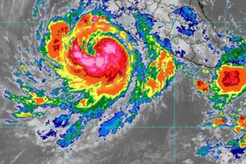
Huracán “Priscilla”: ¿Qué estados afectará hoy 6 de octubre?

Nacional Foto de Conagua Huracán “Priscilla”: ¿Qué estados afectará hoy 6 de octubre? Los desprendimientos nubosos del huracán “Priscilla” ocasionarán lluvias intensas en varios estados este lunes 6 de octubre de 2025 octubre 6, 2025 El Servicio Meteorológico Nacional (SMN) apuntó que para este lunes 6 de octubre de 2025 que el huracán “Priscilla” se localiza […]
Marchan en México para pedir por los derechos de la mujer y la vida

Nacional Miles de personas marcharon este domingo en la Ciudad de México y una decena de ciudades del país en la quinta edición de la Celebración Nacional a Favor de la Mujer y de la Vida, impulsada por colectivos civiles y grupos religiosos que rechazan lo que consideran una confrontación entre los derechos de las […]
“Priscilla” se intensifica a huracán categoría 1 en el Pacífico mexicano

Nacional Foto de Conagua “Priscilla” se intensifica a huracán categoría 1 en el Pacífico mexicano “Priscilla” registra vientos máximos sostenidos de 120 kilómetros por hora (km/h), rachas de 150 km/h y se desplaza hacia el nor-noroeste a 6 km/h octubre 5, 2025 “Priscilla“, decimosexto ciclón de la temporada y que se formó el sábado en […]
Dictan prisión preventiva a Omar Bravo; permanecerá en Puente Grande

Nacional Exfutbolista Omar Bravo. Foto de @omarbravooficial Dictan prisión preventiva a Omar Bravo; permanecerá en Puente Grande Omar Bravo, señalado por abuso sexual infantil, cumplirá la prisión preventiva en el Reclusorio Metropolitano de Jalisco octubre 5, 2025 Un juez de Control decretó la legal detención del exfutbolista Omar Bravo y le impuso la prisión preventiva […]
Rector Lomelí instala el Comité Técnico para la Gobernanza del Cómputo en la UNAM

Nacional Comité Técnico para la Gobernanza del Cómputo y las Tecnologías de Información y Comunicación. Foto de UNAM Rector Lomelí instala el Comité Técnico para la Gobernanza del Cómputo en la UNAM El Comité Técnico para la Gobernanza del Cómputo es una instancia fundamental para gobernar y planear las actividades de cómputo de la UNAM […]
Sheinbaum reitera soberanía y lealtad a la Patria en su Primer Año de Gobierno

Nacional Claudia Sheinbaum en celebración de su Primer Año de Gobierno. Foto de EFE/Mario Guzmán Sheinbaum reitera soberanía y lealtad a la Patria en su Primer Año de Gobierno La presidenta Claudia Sheinbaum resaltó que México no acepta injerencismo ni intervencionismo, pues es “un país libre, independiente y soberano” octubre 5, 2025 La presidenta Claudia […]
¿Qué se sabe del caso del exfutbolista Omar Bravo, detenido por abuso sexual infantil?

Nacional Omar Bravo. Foto de @omarbravooficial ¿Qué se sabe del caso del exfutbolista Omar Bravo, detenido por abuso sexual infantil? El exfutbolista Omar Bravo fue detenido por abuso sexual infantil, delito que se castiga con hasta 20 años de cárcel octubre 5, 2025 Omar Bravo, reconocido exfutbolista, fue detenido en Jalisco por abuso sexual infantil […]
Asesinan a dos policías y un civil en ataque armado en Buenavista, Michoacán

Nacional Cinta policial. Foto de Notimex / Archivo Asesinan a dos policías y un civil en ataque armado en Buenavista, Michoacán Sujetos armados atacaron una caseta de vigilancia en Buenavista y asesinaron a dos policías y un civil, en tanto que una mujer resultó herida octubre 5, 2025 Dos policías y un civil muertos, así […]